Saltar al contenido
VONoticias
  • Seguridad
    • Policiaca
    • Roja
  • Gobierno
  • Sociedad
    • Ciencia
    • Cultura
    • Deportes
    • Historia
    • Medio Ambiente
    • Naturaleza
    • Salud
  • Política
  • Viral
  • Cultura
  • Entretenimiento
    • Televisión
    • Música
    • Cine
  • Guerrero
    • Acapulco
    • Atoyac de Álvarez
    • Coyuca de Benítez
    • Chilpancingo
    • Iguala de la Indepencia
    • San Jerónimo
    • San Marcos
    • Taxco de Alarcón
  • Facebook
  • Instagram

Ciclón

  • Protección Civil advierte lluvias torrenciales y alto oleaje por sistema de baja presión frente a las costas de Guerrero
    09 Oct, AM

    Protección Civil advierte lluvias torrenciales y alto oleaje por sistema de baja presión frente a las costas de Guerrero

    VO Noticias
  • Cómo prevenirse ante la llegada de un huracán a Guerrero
    11 Sep, PM

    Cómo prevenirse ante la llegada de un huracán a Guerrero

    VO Noticias
  • Claudia Sheinbaum viajará a Acapulco tras tomar posesión para evaluar daños por huracán John
    30 Sep, AM

    Claudia Sheinbaum viajará a Acapulco tras tomar posesión para evaluar daños por huracán John

    VO Noticias
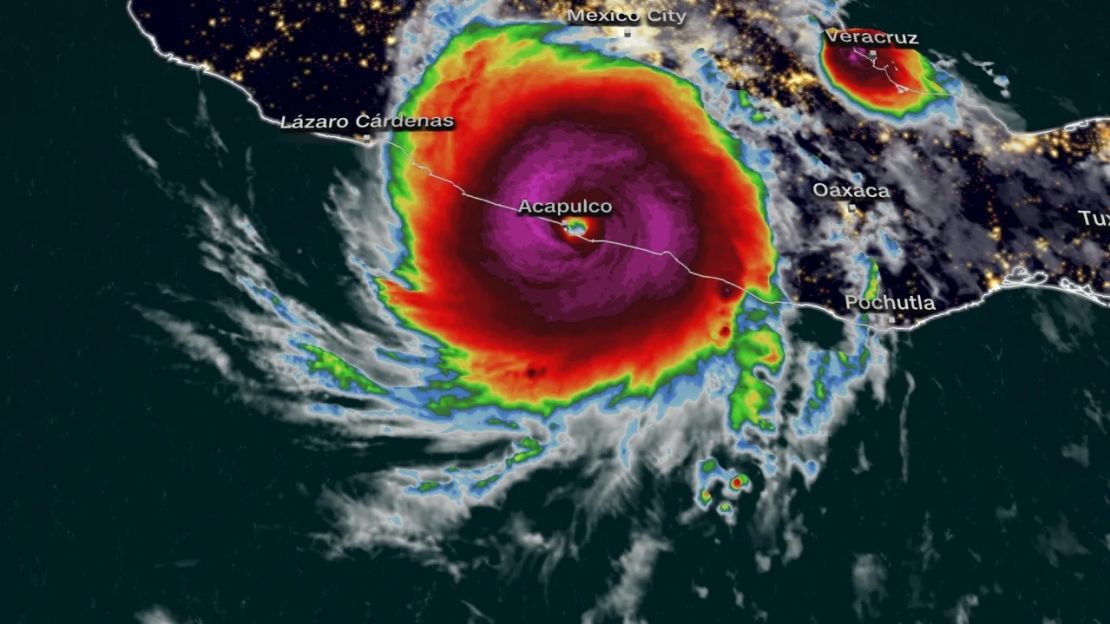
  • Se forma ciclón frente a las costas de Acapulco y Costa Grande
    25 Sep, AM

    Se forma ciclón frente a las costas de Acapulco y Costa Grande

    VO Noticias
  • Huracán Julia inunda las principales vías de Acapulco
    12 Oct, AM

    Huracán Julia inunda las principales vías de Acapulco

    VO Noticias
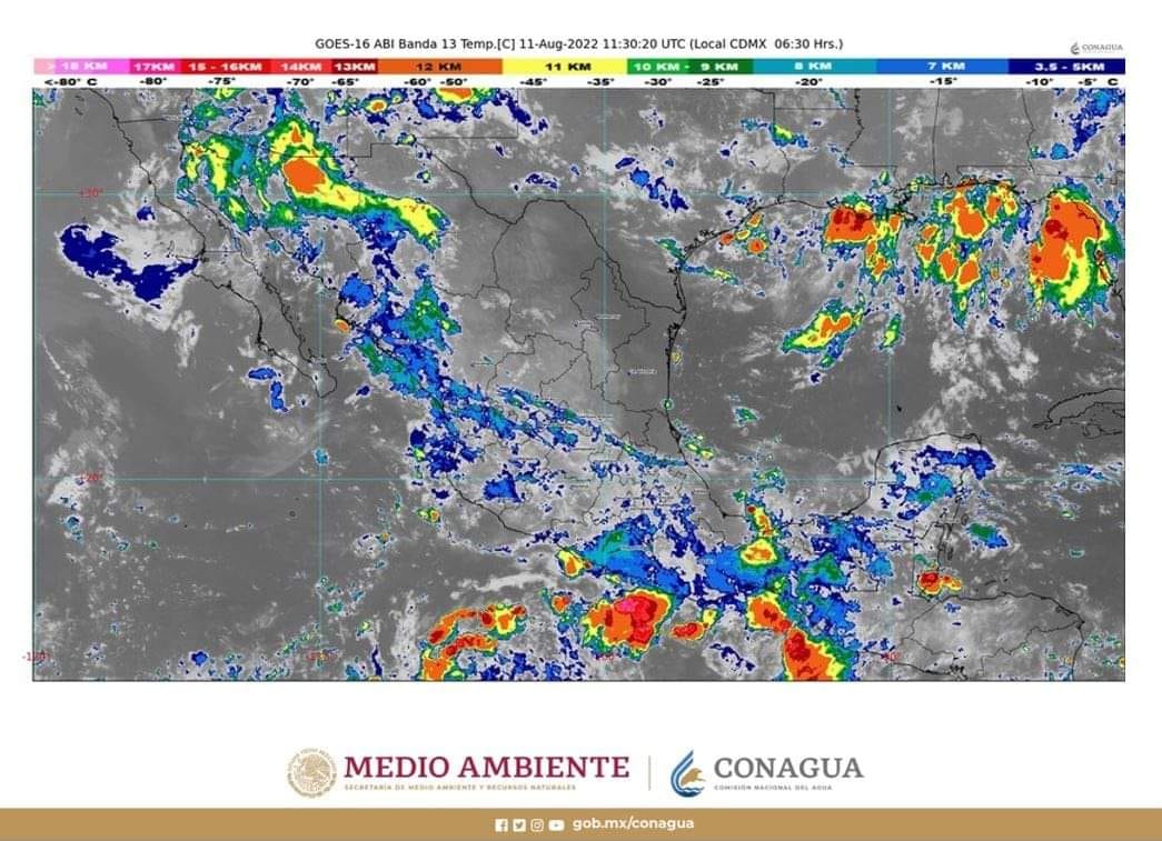
  • Pronostican lluvias intensas en Guerrero por zona de baja presión con potencial ciclónico
    11 Ago, PM

    Pronostican lluvias intensas en Guerrero por zona de baja presión con potencial ciclónico

    VO Noticias
  • Ciclón tropical ‘Estelle’ afectará a Guerrero y a otros 10 estados de México
    15 Jul, AM

    Ciclón tropical ‘Estelle’ afectará a Guerrero y a otros 10 estados de México

    VO Noticias
  • Continuarán lluvias torrenciales en Guerrero por paso de tormenta tropical «Celia»
    22 Jun, AM

    Continuarán lluvias torrenciales en Guerrero por paso de tormenta tropical «Celia»

    VO Noticias
  • Lluvias muy fuertes para Guerrero, señala Protección Civil
    10 Jun, AM

    Lluvias muy fuertes para Guerrero, señala Protección Civil

    VO Noticias
  • En riesgo Guerrero y Oaxaca por formación de tormenta «Blas»
    08 Jun, PM

    En riesgo Guerrero y Oaxaca por formación de tormenta «Blas»

    VO Noticias
1 2
Página siguiente

Historias que conectan

Categorías

Política

Gobierno

Sociedad

Policíaca

Somos

VO Media

VO Noticias

CableCosta

El Mañanero

Ayuda

Guía de Estilo

Aviso de privacidad

  • Seguridad
    • Policiaca
    • Roja
  • Gobierno
  • Sociedad
    • Ciencia
    • Cultura
    • Deportes
    • Historia
    • Medio Ambiente
    • Naturaleza
    • Salud
  • Política
  • Viral
  • Cultura
  • Entretenimiento
    • Televisión
    • Música
    • Cine
  • Guerrero
    • Acapulco
    • Atoyac de Álvarez
    • Coyuca de Benítez
    • Chilpancingo
    • Iguala de la Indepencia
    • San Jerónimo
    • San Marcos
    • Taxco de Alarcón
  • Facebook
  • Instagram

Una marca de VO Media

Cargando comentarios...